Альбомы галереи
Последние добавления
Часто просматриваемые
Поиск в галерее
Home
>
Галерея
>
Планы отдельных местностей
ФАЙЛОВ 185/700
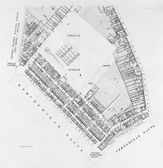
Миусская площадь
Оценить этот файл
(Голосов ещё нет)
Javascript должен быть включён для голосования
Информация о файле
Имя файла:
m41.jpg
Альбом:
kartezhnik
/
Планы отдельных местностей
Датировка:
1852
Источник и автор:
План из Атласа столичного города Москвы / Сост. А. Хотев. - 1:3350, 40 саж. в дюйме. - М., 1852-1853
Координаты:
55.777732,37.595558
Направление съёмки:
сверху
Размер файла:
254 КБ
Добавлен:
10.09.11, 13:08:35
Размеры:
1027 x 1056 пикселей
Просмотрен:
121 раз(а)
Ссылка:
https://retromap.ru/gallery/displayimage.php?pid=2303
Избранные:
Добавить в Избранное
Добавить Ваш комментарий
Комментарии от гостей здесь не разрешены.
Войдите
, чтобы разместить Ваш комментарий
Отладочная информация
Вывод отладочной информации:
показать / скрыть
Выбрать всё
USER: ------------------ Array ( [ID] => 3782e9d03947bb55ccb9cca9c2b02791 [am] => 1 [search] => Array ( [params] => Array ( [filename] => 1 [keywords] => 1 [caption] => 1 [title] => 1 [older_than] => [newer_than] => ) ) [liv] => Array ( [0] => 1978 [1] => 1496 [2] => 2162 [3] => 3075 [4] => 2303 ) ) ========================== USER DATA: ------------------ Array ( [user_id] => 0 [user_name] => Guest [groups] => Array ( [0] => 3 ) [group_quota] => 0 [can_rate_pictures] => 1 [can_send_ecards] => 0 [can_post_comments] => 0 [can_upload_pictures] => 0 [can_create_albums] => 0 [pub_upl_need_approval] => 1 [priv_upl_need_approval] => 1 [access_level] => 3 [disk_max] => 0 [disk_min] => 0 [has_admin_access] => 0 [group_name] => Guests [can_create_public_albums] => 0 [can_see_all_albums] => 0 [group_id] => 3 [allowed_albums] => Array ( ) ) ========================== Queries: ------------------ Array ( [0] => SELECT name, value FROM cpg15x_config [include/init.inc.php:180] (9.99 ms) [1] => SELECT * FROM cpg15x_plugins ORDER BY priority [include/plugin_api.inc.php:48] (3.61 ms) [2] => SELECT name, value FROM cpg15x_bridge [include/functions.inc.php:4628] (3.96 ms) [3] => SELECT MAX(group_quota) AS disk_max, MIN(group_quota) AS disk_min, MAX(can_rate_pictures) AS can_rate_pictures, MAX(can_send_ecards) AS can_send_ecards, MAX(can_post_comments) AS can_post_comments, MAX(can_upload_pictures) AS can_upload_pictures, MAX(can_create_albums) AS can_create_albums, MAX(has_admin_access) AS has_admin_access, MAX(access_level) AS access_level, MIN(pub_upl_need_approval) AS pub_upl_need_approval, MIN( priv_upl_need_approval) AS priv_upl_need_approval FROM cpg15x_usergroups WHERE group_id in (3) [bridge/udb_base.inc.php:350] (5.72 ms) [4] => SELECT group_name FROM cpg15x_usergroups WHERE group_id= 3 [bridge/udb_base.inc.php:362] (3.74 ms) [5] => SELECT COUNT(*) FROM cpg15x_categorymap WHERE group_id in (3) [bridge/udb_base.inc.php:375] (3.98 ms) [6] => SELECT aid FROM cpg15x_albums WHERE moderator_group IN (3) [include/init.inc.php:274] (3.86 ms) [7] => SELECT lang_id FROM cpg15x_languages WHERE enabled='YES' [include/init.inc.php:337] (4.12 ms) [8] => DELETE FROM cpg15x_banned WHERE expiry < '2025-12-03 02:04:11' [include/init.inc.php:451] (3.28 ms) [9] => SELECT null FROM cpg15x_banned WHERE ('216.73.216.32' LIKE ip_addr ) AND brute_force=0 LIMIT 1 [include/init.inc.php:467] (3.83 ms) [10] => SELECT aid FROM cpg15x_albums WHERE (1 AND visibility != 0 AND visibility != 10000 AND visibility NOT IN (3)) [include/functions.inc.php:1113] (4.18 ms) [11] => SELECT topic_id FROM cpg15x_pictures WHERE pid='2303' LIMIT 1 [displayimage.php:286] (4.15 ms) [12] => SELECT category, title, aid, keyword, description, alb_password_hint FROM cpg15x_albums WHERE aid='1' [displayimage.php:305] (4.2 ms) [13] => SELECT ctime FROM cpg15x_pictures WHERE pid = 2303 [include/functions.inc.php:2269] (3.78 ms) [14] => SELECT COUNT(*) FROM cpg15x_pictures AS p INNER JOIN cpg15x_albums AS r ON r.aid = p.aid WHERE (r.aid = 1) AND (1 OR keywords like '%admin%') AND approved = 'YES' AND (ctime > 1318147715 OR ctime = 1318147715 AND pid > 2303) [include/functions.inc.php:2280] (6.83 ms) [15] => SELECT COUNT(*) FROM cpg15x_pictures AS r INNER JOIN cpg15x_albums AS a ON a.aid = r.aid WHERE (r.aid = 1) AND (1 OR keywords like '%admin%') AND approved = 'YES' [include/functions.inc.php:1619] (6.66 ms) [16] => SELECT r.pid, r.aid, filepath, filename, url_prefix, pwidth, pheight, filesize, ctime, r.title, r.keywords, r.votes, pic_rating, hits, caption, r.owner_id, user1, user2, user3, user4 FROM cpg15x_pictures AS r INNER JOIN cpg15x_albums AS a ON a.aid = r.aid WHERE (r.aid = 1) AND (1 OR keywords like '%admin%') AND approved = 'YES' ORDER BY ctime DESC, pid DESC LIMIT 184 ,1 [include/functions.inc.php:1635] (9.49 ms) [17] => SELECT COUNT(*) FROM cpg15x_pictures AS r INNER JOIN cpg15x_albums AS a ON a.aid = r.aid WHERE (r.aid = 1) AND (1 OR keywords like '%admin%') AND approved = 'YES' [include/functions.inc.php:1619] (6.77 ms) [18] => SELECT r.pid FROM cpg15x_pictures AS r INNER JOIN cpg15x_albums AS a ON a.aid = r.aid WHERE (r.aid = 1) AND (1 OR keywords like '%admin%') AND approved = 'YES' ORDER BY ctime DESC, pid DESC LIMIT 183 ,1 [include/functions.inc.php:1635] (9.02 ms) [19] => SELECT COUNT(*) FROM cpg15x_pictures AS r INNER JOIN cpg15x_albums AS a ON a.aid = r.aid WHERE (r.aid = 1) AND (1 OR keywords like '%admin%') AND approved = 'YES' [include/functions.inc.php:1619] (6.65 ms) [20] => SELECT r.pid FROM cpg15x_pictures AS r INNER JOIN cpg15x_albums AS a ON a.aid = r.aid WHERE (r.aid = 1) AND (1 OR keywords like '%admin%') AND approved = 'YES' ORDER BY ctime DESC, pid DESC LIMIT 185 ,1 [include/functions.inc.php:1635] (8.15 ms) [21] => SELECT COUNT(*) FROM cpg15x_pictures AS r INNER JOIN cpg15x_albums AS a ON a.aid = r.aid WHERE (r.aid = 1) AND (1 OR keywords like '%admin%') AND approved = 'YES' [include/functions.inc.php:1619] (6.51 ms) [22] => SELECT r.pid FROM cpg15x_pictures AS r INNER JOIN cpg15x_albums AS a ON a.aid = r.aid WHERE (r.aid = 1) AND (1 OR keywords like '%admin%') AND approved = 'YES' ORDER BY ctime DESC, pid DESC LIMIT 0 ,1 [include/functions.inc.php:1635] (7.24 ms) [23] => SELECT COUNT(*) FROM cpg15x_pictures AS r INNER JOIN cpg15x_albums AS a ON a.aid = r.aid WHERE (r.aid = 1) AND (1 OR keywords like '%admin%') AND approved = 'YES' [include/functions.inc.php:1619] (6.62 ms) [24] => SELECT r.pid FROM cpg15x_pictures AS r INNER JOIN cpg15x_albums AS a ON a.aid = r.aid WHERE (r.aid = 1) AND (1 OR keywords like '%admin%') AND approved = 'YES' ORDER BY ctime ASC, pid ASC LIMIT 0 ,1 [include/functions.inc.php:1635] (7 ms) [25] => SELECT title, comments, votes, category, aid FROM cpg15x_albums WHERE aid='1' LIMIT 1 [displayimage.php:432] (4.66 ms) [26] => UPDATE cpg15x_pictures SET hits = hits + 1, lasthit_ip = '216.73.216.32', mtime = CURRENT_TIMESTAMP WHERE pid = 2303 [include/functions.inc.php:2847] (3.93 ms) [27] => SELECT extension, mime, content, player FROM cpg15x_filetypes [include/functions.inc.php:6011] (9.37 ms) [28] => SELECT null FROM cpg15x_votes WHERE pic_id= 2303 AND user_md5_id='3782e9d03947bb55ccb9cca9c2b02791' [include/themes.inc.php:3625] (3.89 ms) [29] => SELECT null FROM cpg15x_vote_stats WHERE pid = 2303 AND ip = '216.73.216.32' [include/themes.inc.php:3626] (4.46 ms) [30] => SELECT username as user_name FROM `retromap_v2`.phpbb_users WHERE user_id = '67' [bridge/udb_base.inc.php:59] (0.26 ms) [31] => SELECT COUNT(msg_id) FROM cpg15x_comments WHERE pid='2303' [include/themes.inc.php:3758] (4 ms) [32] => SELECT COUNT(*) FROM cpg15x_pictures AS r INNER JOIN cpg15x_albums AS a ON a.aid = r.aid WHERE (r.aid = 1) AND (1 OR keywords like '%admin%') AND approved = 'YES' [include/functions.inc.php:1619] (6.7 ms) [33] => SELECT r.pid, r.aid, filepath, filename, url_prefix, pwidth, pheight, filesize, ctime, r.title FROM cpg15x_pictures AS r INNER JOIN cpg15x_albums AS a ON a.aid = r.aid WHERE (r.aid = 1) AND (1 OR keywords like '%admin%') AND approved = 'YES' ORDER BY ctime DESC, pid DESC LIMIT 180 ,9 [include/functions.inc.php:1635] (10.7 ms) ) ========================== GET : ------------------ Array ( [album] => lastup [cat] => -1 [pid] => 2303 ) ========================== POST : ------------------ Array ( ) ========================== COOKIE : ------------------ Array ( [cpg15x_data] => YTo0OntzOjI6IklEIjtzOjMyOiIzNzgyZTlkMDM5NDdiYjU1Y2NiOWNjYTljMmIwMjc5MSI7czoyOiJhbSI7aToxO3M6Njoic2VhcmNoIjthOjE6e3M6NjoicGFyYW1zIjthOjY6e3M6ODoiZmlsZW5hbWUiO2k6MTtzOjg6ImtleXdvcmRzIjtpOjE7czo3OiJjYXB0aW9uIjtpOjE7czo1OiJ0aXRsZSI7aToxO3M6MTA6Im9sZGVyX3RoYW4iO3M6MDoiIjtzOjEwOiJuZXdlcl90aGFuIjtzOjA6IiI7fX1zOjM6ImxpdiI7YTo1OntpOjA7czo0OiIxMjg0IjtpOjE7czo0OiIxOTc4IjtpOjI7czo0OiIxNDk2IjtpOjM7czo0OiIyMTYyIjtpOjQ7czo0OiIzMDc1Ijt9fQ== ) ==========================
Примечания
/bridge/phpbb3.inc.php
Deprecated line 52: Creation of dynamic property cpg_udb::$boardurl is deprecated
Deprecated line 54: Creation of dynamic property cpg_udb::$use_post_based_groups is deprecated
Deprecated line 57: Creation of dynamic property cpg_udb::$multigroups is deprecated
Deprecated line 60: Creation of dynamic property cpg_udb::$db is deprecated
Deprecated line 69: Creation of dynamic property cpg_udb::$table is deprecated
Deprecated line 77: Creation of dynamic property cpg_udb::$usertable is deprecated
Deprecated line 78: Creation of dynamic property cpg_udb::$groupstable is deprecated
Deprecated line 79: Creation of dynamic property cpg_udb::$sessionstable is deprecated
Deprecated line 80: Creation of dynamic property cpg_udb::$usergroupstable is deprecated
Deprecated line 83: Creation of dynamic property cpg_udb::$field is deprecated
Deprecated line 99: Creation of dynamic property cpg_udb::$page is deprecated
Deprecated line 106: Creation of dynamic property cpg_udb::$admingroups is deprecated
Deprecated line 107: Creation of dynamic property cpg_udb::$guestgroup is deprecated
Deprecated line 110: Creation of dynamic property cpg_udb::$cookie_name is deprecated